Southern Californias Land Brokers

29371, Discovery Ridge Drive, Santa Clarita, Los Angeles County, California, 91390, United States
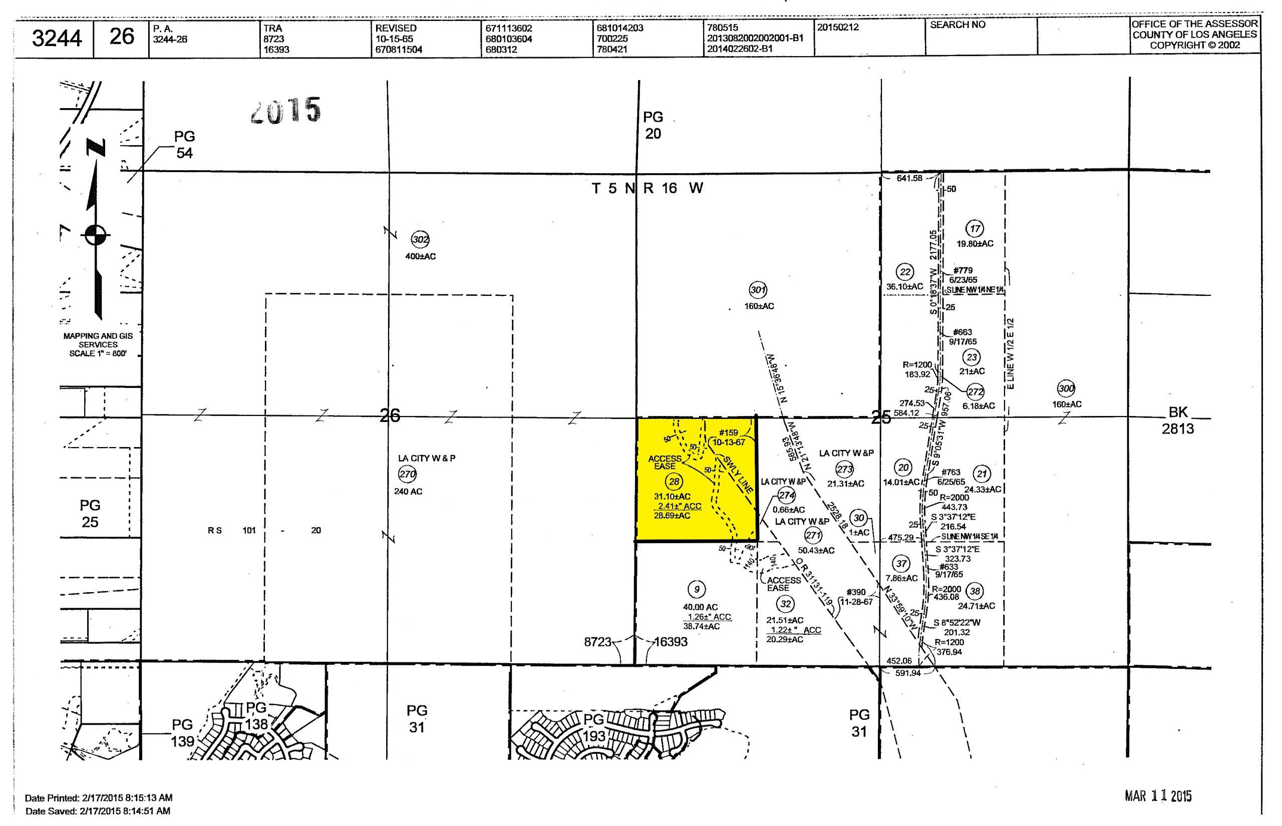
32 acre vacant lot, located just off Pettinger Canyon Rd
Great site for estate home or land bank opportunity, adjacent to the LA City of Water and Power
Property with government property to the north and west, maximum privacy.
****No soils reports, surveys, etc., have been done. Buyer and buyer’s agent to verify all information with the city or county for allowable uses and requirements and rely on their own investigations. **Buyer responsible for checking zoning, utilities, permits and exact property boundaries. ****
LISTING ID SW23070055
Owning a home is a keystone of wealth… both financial affluence and emotional security.
Suze Orman